LOADING

4720 68 Street Camrose, Alberta T4V 2P7

$148,600

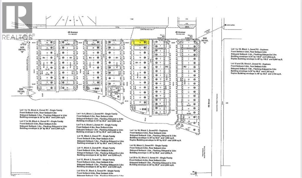
Welcome to West Park's newest development....Lakeside!!! This development is situated close to shopping and dining. You can access the walking path along the lake and build your own home! Don't miss out on an amazing opportunity in 2026. (id:57456)

Property Details

MLS® Number A2016907
Property Type Vacant Land
Community Name West Park
Amenities Near By Shopping
Plan 7622178
Structure None

Building

Age Age Is Unknown

Land

Acreage No
Fence Type Not Fenced
Land Amenities Shopping
Size Depth 38.1 M
Size Frontage 12.19 M
Size Irregular 4284.00
Size Total 4284 Sqft|4,051 - 7,250 Sqft
Size Total Text 4284 Sqft|4,051 - 7,250 Sqft
Zoning Description R1

https://www.realtor.ca/real-estate/25208109/4720-68-street-camrose-west-park

Your Favourites

 

No Favourites Found